BRĪDINĀJUMS – Sēlijā izplatās kartupeļu lapgrauži
FOTO: Kartupeļu lapgrauža vaboles. I. Liepiņa
FacebookX / TwitterLinkedinThreads

Sēlijā kartupeļu stādījumos (AS 13-22) novērotas kartupeļu lapgrauža vaboles ar izplatību 2% līdz 8%, vairākos laukos atrasti arī lapgrauža olu dējumi. Atsākoties vasarīgiem laikapstākļiem, kaitēkļi turpinās izplatīties, tādēļ Valsts augu aizsardzības dienests aicina lauksaimniekus apsekot savus kartupeļu laukus un lemt par augu aizsardzības pasākumu veikšanu.

! Kartupeļu lapgraužu Leptinotarsa decemlineata attīstību un izplatību veicina sauss un silts laiks.

! Gan vaboles, gan kāpuri barojas ar kartupeļu lapām, izgraužot tajās neregulārus robus. Stipras invāzijas gadījumā lapgraužu kāpuri lapas nograuž pilnībā, atstājot tikai stublāju.

Bioloģija - gadā attīstās 1 paaudze. Vaboles izlido pavasarī un uzmeklē dīgstošos kartupeļus, mātītes dēj olas lapu apakšpusē, grupās pa 33-40.

Kartupeļu lapgrauža oliņas
FOTO: Kartupeļu lapgrauža oliņas. L. Būcēna

Izšķīlušies kāpuri uzturas vienkopus un grauž kartupeļu lapas. Sevišķi intensīvi barojas trešā un ceturtā auguma kāpuri. Kāpuru attīstība ilgst 16-34 dienas, pēc tam tie iekūņojas augsnē un parasti augusta sākumā parādās jaunās vaboles, kas turpina grauzt jau nobriedušās lapas. Pārziemo vaboles augsnē, parasti 30-35 cm dziļumā, bet pie nelabvēlīgiem apstākļiem var ziemot 1 m dziļumā. Olas iznīcina mārītes, zoofāgās blaktis un zeltactiņas, bet dabiskie ienaidnieki kāpuriem ir kukaiņēdāji putni. 

Kartupeļu lapgrauža kāpuri
FOTO: Kartupeļu lapgrauža kāpuri. I. Liepiņa

Ierobežošana - augu maiņa (neaudzēt kartupeļus vienā laukā divus gadus pēc kārtas), nelielos stādījumos kaitēkļus un olu dējumus var iznīcināt mehāniski (nolasot) vai lakstus nopurinot. Lielākās platībās lapgrauža ierobežošanai izvēlas kādu no insekticīdiem, kas Latvijā reģistrēts lapgrauža ierobežošanai.

Kaitīguma slieksnis -

  • Ja vaboles pavasarī (AS 0-60) novērojamas vidēji ar izplatību 5-8% un vairāk,
  • ja drīz pēc kāpuru izšķilšanās lapu virsma vidēji nograuzta 8-10% apmērā.

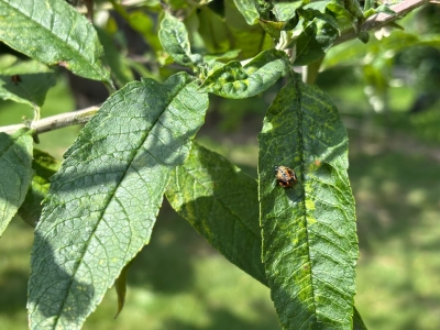
Veicot lauka apskati, uzmanieties, nesajauciet lapgrauža kāpurus ar mārītes kāpuriem vai kūniņām. Lai atpazītu mārītes kāpuru, jāpievērš uzmanība krāsojumam un formai – mārītes kāpurs (atkarībā no mārītes sugas) būs zilganpelēcīgā, brūnganā vai dzeltenā krāsā, punktiņi būs izvietoti pa visu ķermeni un atradīsies uz izcilnīšiem, punktiņi var nebūt melni, ķermenis slaidāks kā lapgrauža kāpuram.

Mārītes kāpuri
FOTO: Mārītes kāpuri. L. Būcēna
Mārītes kūniņa
FOTO: Mārītes kūniņa. L. Būcēna

NODERĪGI!

Informācija par šā brīža kaitīgo organismu novērojumu rezultātiem – Kaitīgo organismu novērojumu karte.

Novērojumu kartē graudaugiem, rapsim, kartupeļiem, lauka pupām un zirņiem ieviests “Luksofora princips” – VAAD Ziņu lapā plašāks skaidrojums, kā jaunievedums lauksaimniekiem atvieglos informācijas iegūšanu.

Informācija par kartupeļu slimību un kaitēkļu bioloģiju un ierobežošanas pasākumiem VAAD rokasgrāmatā "Kartupeļu slimības un kaitēkļi" un datu bāzē “Kaitīgie organismi”.

Augu aizsardzības līdzekļi, kas reģistrēti kartupeļiem apskatāmi tabulā “Augu aizsardzības līdzekļu lietojums”. 

Sekojiet mums Instagram “Misija Agronoms un Facebook Valsts augu aizsardzības dienesta profilā.

Informāciju sagatavoja: 

Linda Būcēna

Linda Būcēna

Integrētās augu aizsardzības daļas vecākā inspektore
E-pasts: linda.bucena [at] vaad.gov.lv

Saistītas tēmas

Aktualitātes:
Dārzeņi Brīdinājums