Augļaugu slimību un kaitēkļu attīstības un izplatības prognoze 2025. gadam Latgales reģionam
FacebookX / TwitterLinkedinThreads

Valsts augu aizsardzības dienesta (VAAD) reģionālo nodaļu prognožu jomas speciālisti izvērtējuši iepriekšējā gada sezonas augļaugu slimību un kaitēkļu novērojumu rezultātus un, ņemot vērā tos un iespējamos laika apstākļus šī gada veģetācijas periodā, prognozējuši būtiskāko slimību un kaitēkļu attīstību 2025. gada sezonai.

Aizvadītajā sezonā augļu dārzos jau otro gadu piedzīvojām ekstremālu salu, pat līdz -11°, kas reģionā ietekmēja visas sezonas darbu. Daudzviet cerības uz ražu izplēnēja jau 10.maija rītā. Tukši augļaugu dārzi bija ābeļu, bumbieru, plūmju, ķiršu audzētājiem, arī krūmmelleņu, dzērveņu, ogulāju, smiltsērkšķu, zemeņu lauki nenesa cerēto ražu. Kaut arī pavasaris bija pavēss, tomēr kaitīgie organismi, kam šajā laikā sākusies attīstība, nekur nebija pazuduši un kaut nelielākā daudzumā, tomēr dārzos bija sastopami. Sekojošie mēneši ar karstumu, sausuma un lietus periodiem sekmēja dažādu kaitīgo organismu savairošanos. Arī vasaras periods sekmēja dažādu kaitīgo organismu attīstību un ietekmi uz ražu. Rezultātā vasarā un rudenī dārzu saimnieki ieguva pavisam zemas vai nekādas ražas. Arī šajā gadā liela ietekme uz augļaugu attīstību un ražu būs klimatiskiem apstākļiem un dažādu kaitīgo organismu klātbūtnei stādījumos. Nevar nenovērtēt arī augļu dārzu saimnieku pieredzi, zināšanas, prasmes un savu stādījumu īpatnību pārzināšanu.

Ābeļu un bumbieru slimības un kaitēkļi

Ābeļu kraupis Venturia inaequalis            Bumbieru kraupis Venturia pyrina

Kraupis ir slimība, kas sastopama katru gadu, novērojama visos ābeļu un bumbieru stādījumos. Kraupja ierosinātāji saglabājas uz vecajām lapām, tāpēc augļu dārzā slimība būs sastopama vienmēr. Slimības izplatība sākas, kad gaisa temperatūra sasniedz +15°, kas parasti vērojama aprīļa beigās - maija sākumā, pēc tam seko sekundārā infekcija, kas mitrā laikā izplatās koka vainaga ietvaros līdz pat jūnija vidum. Masveida kraupja sporu izlidošana bieži sakrīt ar augļu koku ziedēšanu. Ābeļu un bumbieru kraupja ierobežošanai pirmais fungicīdu smidzinājums būtu jāveic tieši pirms asku sporu masveida izlidošanas. Dārzos, kur tas tiek ievērots, kraupja pazīmes uz āboliem līdz pat rudenim netiek novērotas. Nokavētos smidzinājumos vai ar fungicīdiem neapstrādātos dārzos pirmās kraupja pazīmes uz lapām novērotas jau maija trešajā dekādē ziedēšanas beigās līdz augļu veidošanās sākuma stadijās (AS 69-71) uz ābeļu un bumbieru lapām. Jūnija sākumā kraupja pazīmes bija novērojamas arī uz jaunajiem augļu aizmetņiem. Slimības parādīšanos neietekmēja maija vidū notikušais spēcīgais sals pat līdz -11°. Kraupja attīstība ilgst visu vasaru, un rudenī atsevišķos dārzos līdz pat 30% augļu bija kraupja infekcijas pazīmes. Īpaši daudz kraupi šogad varēja novērot uz bumbierēm. Dārzos vērojama arī dažāda šķirņu atšķirīga izturība pret kraupi. Nākamajā sezonā slimības izplatība atkarīga no laika apstākļiem un dārzu saimnieku prasmēm lietot augu aizsardzības līdzekļus, jo kraupis ir slimība, kuru var veiksmīgi ierobežot.

Ābeļu kraupja bojājums veicinājis parastās puves attīstību
Foto. Ābeļu kraupja bojājums veicinājis parastās puves attīstību. Māra Bērziņa.

Ābeļu miltrasa Podosphaera leucotricha

Miltrasas izplatību veicina sausi un karsti laika apstākļi un infekcijas avotu klātbūtne dārzā. Slimības attīstībai nav nepieciešams lietais laiks, pietiek ar atbilstošu gaisa mitrumu. Slimība vairāk skar novājinātus, noēnotus kokus, sabiezinātus vai nekoptus stādījumus, vairāk apdraudēti ir jaunie stādi kokaudzētavās. Ābeļu miltrasas ierosinātājs ziemo inficēto dzinumu pumpuros, tādēļ svarīgi šos dzinumus laikus izgriezt. Ābeļu miltrasas izplatība stādījumos Latgalē konstatēta samērā reti, vien atsevišķos dārzos.

Bumbieru - Kadiķu rūsa Gymnosporangium sabinae

Maijā, sevišķi mitrā un vēsā laikā, rūsa attīstās uz kadiķiem, no kuriem vasaras vidū, pārvietojas uz bumbierēm. Parasti novērojama vasaras otrajā pusē, kad uz augu lapām parādās mitrums. Šī slimība novērota bieži visā Latgales reģionā bumbieru dārzos, bet ar dažādu izplatību. Bumbieru-kadiķu rūsa pērn novērota jau jūnija pirmajā dekādē (AS 73), labvēlīgu apstākļu dēļ izplatījās, un līdz augusta beigām slimība sasniedza 40% izplatību. Ja šogad maija mēnesis būs lietains un vējains, sagaidāma spēcīga bumbieru-kadiķu rūsas izplatība. Sēnes attīstībai nepieciešami 2 saimniekaugi – kadiķi un bumbieres – tāpēc piemājas dārzos slimības ierobežošanai ieteicams neaudzēt kadiķus.

 Bumbieru lapu pelēkplankumainība Mycosphaerella pyri

Bumbieru stādījumos novērojama un katru gadu izplatīta slimība. Pirmās slimības pazīmes uz lapām apsekotajos stādījumos novērotas augļu attīstības sākuma stadijā (AS 71) maija beigās. Tās izplatība galvenokārt atkarīga no laika apstākļiem, tā var attīstīties un izplatīties visas sezonas laikā. Vietām apsekotajos dārzos slimības izplatība intensīva, slimi praktiski visi koki. Līdz septembra sākumam apmēram puse lapas plātnes klāta ar slimībai raksturīgajiem pelēkbaltajiem plankumiem, kas attīstoties saplūda kopā. Bumbieru lapu pelēkplankumainības izplatību un attīstību nākamajā veģetācijas periodā veicinās lietains, vējains un silts laiks (+21-27°). Lai mazinātu slimības izplatību, jāveicina ātrāku nobirušo, inficēto lapu sadalīšanos vai iestrādāšanu augsnē, vai apstrāde ar karbamīdu, jo infekcijas avots nākamajā sezonā ir nobirušās, inficētās, nesadalījušās lapas zem koku vainagiem.

Parastā augļu puve Monilinia fructigena

Slimības izplatībai aizvadītajā sezonā bija ļoti labvēlīgi apstākļi (mitrums, siltums), tāpēc puves bojātos augļus gan ābeļu, gan bumbieru, gan plūmju dārzos varēja novērot lielā daudzumā. Tā tas novērots jau vairākus gadus pēc kārtas. Plūmju dārzos inficētie augļi novēroti jau jūlija vidū augļu attīstības stadijā (AS 79).  Augļu parastās puves bojātie āboli reģionā parādījās jūlija otrajā pusē (AS 75) vidēji ar 2% izplatību, atkarībā no šķirnes. Augusta sākumā slimība novērota arī bumbieru dārzos augļu attīstības laikā (AS 75). Līdz augļu gatavības stadijai ar puvi inficēto augļu daudzums tikai pieauga. Bojātie augļi vasaras beigās kokos sapūst un kā melnas mūmijas saglabājas gan kokos, gan uz zemes. Šosezon, ja pavasaris būs silts un mitrs, puve būs sastopama, it sevišķi, ja no dārza rudenī nebūs aizvākti bojātie augļi. Slimības ierobežošanā svarīgākais ir izvākt no dārza infekcijas avotu – melnās mūmijas, kurās saglabājas sēnes micēlijs, kas nākamajā sezonā labvēlīgos apstākļos atkal inficē augļus. Augļi jāizvāc regulāri, arī vasarā. Ja nav iespējams izvākt bojātos augļus, tie jāapstrādā ar karbamīdu, kas veicina to ātrāku sadalīšanos. Ieteicams retināt koku vainagus un izgriezt zarus, kuros bijis ļoti daudz puvušo augļu. Slimības izplatību ietekmē arī kraupja klātbūtne dārzā, dažādi mehāniski bojājumi un arī kaitēkļu bojājumi.

Ābeļu ziedu smecernieks Anthonomus pomorum

Kaitēklis augļu dārzos sastopams katru gadu. Ābeļu ziedu smecernieka vabolītes uz augļu koku stumbriem parādās, kad gaisa temperatūra sasniedz +5-8°. Ja paredzama bagātīga ziedēšana, smecernieka klātbūtne var kalpot kā ražas normēšanas sastāvdaļa. Bet gados, kad ir maz ziedpumpuru, kaitēklis var radīt nozīmīgus bojājumus. Smecernieka barošanos un vairošanos veicina silti un saulaini laika apstākļi. Aizvadītā gadaā maija pirmajā dekādē ābeļu ziedu smecernieka novērojumos trīcpiltuvē uzskaitītas 1-7 vaboles. Jūnijā bija novērojami to kāpuri. Kaitēkļa pārziemošanu parasti ietekmē ziemas sala periodi, kuri šajā gadā bija īsi un ne ar spēcīgu salu. Nākamajā sezonā smecernieks vairāk būs novērojams stādījumos, kur tam bijušas labvēlīgas ziemošanas vietas - iepriekšējā gada augu atliekas, lapas, sūnas. Dārzos, kuros iepriekšējā gadā bija vērojami nozīmīgi šī kaitēkļa bojājumi, to skaitliskai mazināšanai agri pavasarī ap koku stumbriem izliek gofrētās ķeramjostas, kuras noņem pēc ziedēšanas. Tās var izmantot arī vasaras otrā pusē, kad smecernieka vabolītes uzmeklē ziemošanas vietas.

 Ābolu tinējs Cydia pomonella

Viens no izplatītākajiem ābolu kaitēkļiem. Ābolu tinēja tauriņa izlidošana parasti notiek maija otrajā pusē. Tinēja tauriņu masveida lidošanu veicina mierīgi, silti un sausi laika apstākļi maija beigās un vakara stundās. Lielāka kaitēkļa izplatība novērota mazāk koptos, vecākos, noēnotos un nepļautos dārzos. Tauriņi izlido un uzsāk olu dēšanu. Aizvadītajā sezonā pirmie tauriņi feromonu slazdā ielidoja maija beigās augļu attīstības sākuma stadijā (AS 71). Latgales reģiona ziemeļu daļā aizvadītajā gadā bija spēcīgas salnas un ābeļu ziedi, ziedu aizmetņi nosala, līdz ar to ābolu nebija vispār. Līdz ar to arī kaitēklis feromonu slazdos tikpat kā nebija novērojams. Lidošanas maksimums, un olu dēšana parasti notiek jūnija otrajā pusē. Sezonas laikā feromonu slazdā noķerto tauriņu skaits svārstījās no 1 līdz 6. Bojāto ābolu skaits sezonā bija salīdzinoši neliels, līdz 2%. Kāpurus var novērot jūnija beigās. Parasti jūlija beigās, augusta sākumā jeb 30 dienas pēc izšķilšanās kāpuri atstāj bojāto ābolu un dodas meklēt ziemošanas vietas. Ja sezonā šajā laikā būs kaitēkļa attīstībai labvēlīgi sausi un silti laika apstākļi, tad kāpuru invāzija ābolos paredzama lielāka nekā vēsā un mitrā laikā.

Bumbieru lapu blusiņa Cacopsylla pyri

Bumbieru lapu blusiņas bojā tikai bumbieres. Kaitēkļi bojā lapas, jaunos dzinumus un augļus. Tiklīdz gaisa temperatūra pārsniedz +3°, pieauguši imago pamet ziemošanas vietas un, gaisam iesilstot līdz +10°, sākas olu dēšana. Gadā attīstās līdz 4 paaudzēm, kas apgrūtina kaitēkļu ierobežošanu. Kaitēklis reģionā novērots atsevišķos bumbieru stādījumos. Lai ierobežotu kaitēkļa izplatību, ieteicams koka stumbrus un vecākos zarus attīrīt no sūnām un ķērpjiem, no dārza aizvākt nobirušās lapas.

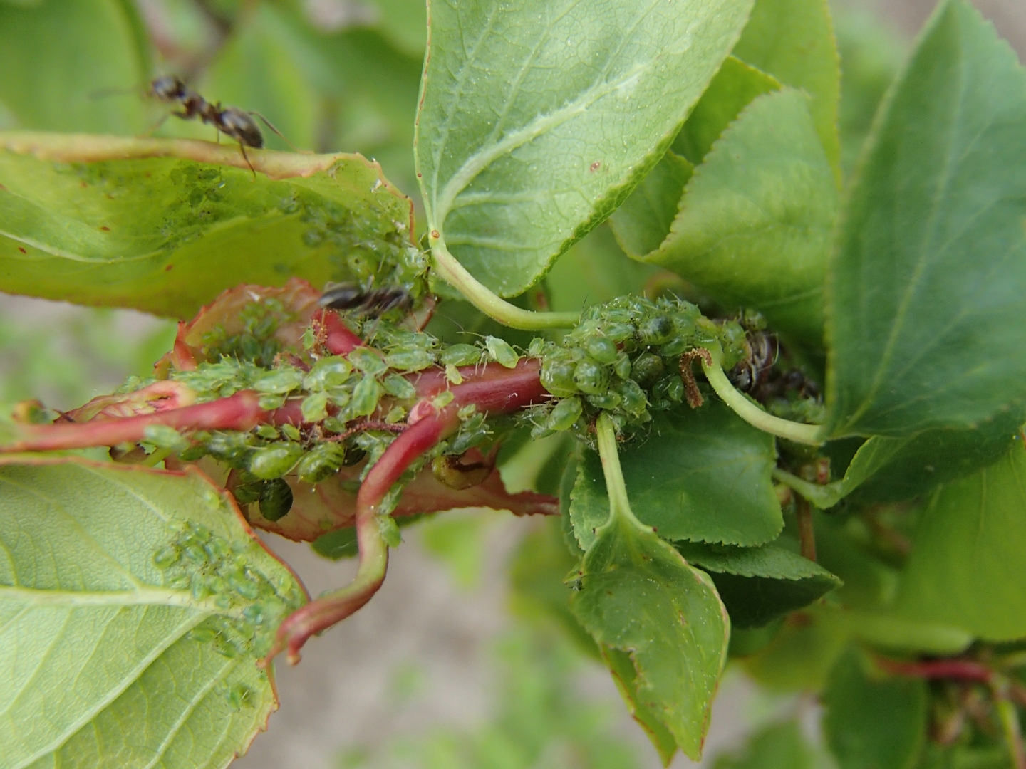
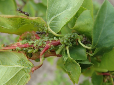
Laputis Aphididae

Kaitēklis augļu dārzos novērojams katru gadu. Laputīm ir daudz dabisko ienaidnieku, kas ietekmē to savairošanos. Kaitēkli ietekmē arī laika apstākļi. Silts un sauss laiks ir labvēlīgs kaitēkļu vairošanai. Ik sezonu apsekotajos ābeļu un bumbieru stādījumos laputis novērotas ar nelielu izplatību un parasti ar maznozīmīgu bojājuma pakāpi. Ja nākamā vasara būs silta un saulaina, laputis var paspēt savairoties nozīmīgā daudzumā, jo tām attīstās vairākas paaudzes veģetācijas periodā.

Laputis
Foto. Laputis. Māra Bērziņa.

Augļu koku tīklkode Yponomeuta padella        Ābeļu tīklkode Yponomeuta malinellus

Aizvadītajā gadā augļu koku tīklkodes radītie lapu satīklojumi ābeļu, bumbieru, plūmju, ķiršu dārzos bija novērojami pavisam nelielos daudzumos. Kaitēkļi no maija beigām koku vainagos veido zaru un lapu tīklojums, kuru iekšienē var redzēt daudz kāpuru, kuri apgrauž koku pumpurus un jaunās lapas. Tīklojumi redzami apmēram mēnesi līdz jūnija beigām, tad kāpuri iekūņojās un jūlija sākumā izlido tauriņi. Mātītes dēj olas uz koku zariem, kur turpina attīstīties jaunā tīklkožu paaudze, kas savu darbību turpinās nākamajā gadā. Kaitēkļu savairošanos veicina labvēlīgi laika apstākļiem ziemas-pavasara periodā. Tīklkodei ir daudz dabisko ienaidnieku – dažādas lapsenes, plēsīgās blaktis, mārītes, zeltactiņas, kas barojas ar olām un kūniņām. Arī dārzu saimnieki var savākt satīklojumus ar kaitēkļa kāpuriem un tos iznīcināt.

Pīlādžu tīklkode Argyresthia conjugella

 Pīlādžu tīklkode ir sīks pelēcīgi raibs tauriņš. Tā ir radiniece ābeļu tīklkodei, bet neveido uzkrītošus tīklus, tā klusi un neuzkrītoši bojā pīlādžogas un ābolus. Tauriņu kāpuri rudenī uzmeklē slēptuves augsnē, augu nobirās vai koku mizas plaisās un auž kokonus. Pīlādžu tīklkode izlido jūnija sākumā un turpina lidot pat līdz augusta beigām. Kaitēklis lido, pārojas un dēj olas diennakts tumšajā laikā. Aizvadītajā gadā pīlādžu tīklkodes tauriņi feromonu slazdā parādījās jūnija vidū augļu aizmetņu attīstības stadijās (AS 73). Nedēļas laikā feromonu slazdos ielidoja līdz 5 tauriņiem, kas ir mazāk kā citos gados. Tauriņu lidošana turpinājās līdz augusta sākumam. Mātītes olas dēj uz jau aizmetušos auglīšu virsmas, bieži vien olas dēj grupās. Kad izšķiļas kāpurs, tas izgraužas cauri augļa mizai un izveido dažas līkumainas, īsas un šauras ejas zem mizas. Paaudzies kāpurs grauž līkumainas ejas cauri visam augļa mīkstumam. Auglī vienlaikus var iegrauzties daudzi kāpuri. Ja mīkstums ir stipri izalots, tam ir nepatīkami rūgta garša. Kāpuri augļos barojas aptuveni mēnesi, tad izgraužas no tiem, nolaižas zemē un uzmeklē ziemošanas vietas. Komercdārzos tīklkodi apkaro ar plaša spektra insekticīdiem, smidzinot tos tūlīt pēc koku noziedēšanas. Mazdārziņu īpašniekiem ķīmiskie augu aizsardzības līdzekļi nav pieejami. Pīlādžu tīklkodi var mēģināt ierobežot, savācot bojātos augļus un rudenī rušinot koku apdobes, jo kaitēkļi ziemo zemsedzē zem augu atliekām. Ir iespējams iegādāties feromonu slazdus, pievilināt pīlādžu tīklkodes tēviņus un tādējādi novērtēt, kad un cik aktīvi tie lido, pie reizes tos arī iznīcinot.

Bumbieru lapu pangērērce Eriopyes pyri

Bieži bojā bumbieres. Uz to lapām redzami daudzi gaiši pacēlumi - pangas. Kaitīgas ir gan pieaugušās ērces, gan kāpuri. Kaitēkļu kolonijas ziemo pumpuros, bet vasarās pārvietojas uz augu lapām un barojas ar lapu audiem. Lapas sabrūnē un bojātās lapas ar laiku nobirst. Rudenī ērces izēd ziedu un lapu aizmetņus. Gada laikā ērcēm ir vairākas paaudzes. Dārzos, kur novērojamas pangērces, cīnīties ar tām ir grūti. Savairošanos veicina sintētisko augu aizsardzības līdzekļu lietošana dārzos, kad tiek izjaukts dzīvo organismu dabiskais līdzsvars. Vislabāk cīnīties ar pangērcēm ir izmantojot bioloģisko metodi, kad citas plēsīgās ērces iznīcina pangērces.

Kauleņkoku slimības un kaitēkļi

Kauleņkoku lapbire Blumeriella jaapii

Slimība skar ķiršu stādījumus, vairāk skābos ķiršus, veidojot plankumus uz lapām un paātrinot to nobiršanu. Inficēšanās notiek maija sākumā vai vidū, optimālā temperatūras virs +15°, vairāk inficējas salā cietuši un novājināti koki. Arī turpmākā inficēšanās atkarīga no augstām gaisa temperatūrām. Stipras infekcijas gadījumā lapu biršana var sākties jūlija sākumā. Kauleņkoku lapbire aizvadītā gada sezonā reģionā novērota monitoringa dārzos jūnija otrajā pusē, bet ar nelielu intensitāti. Ja pērnā gada nobirušās lapas nav izvāktas no stādījuma apdobēm, šajā vasarā var sagaidīt spēcīgu infekciju. Slimības izplatību ietekmē arī dārzu kopšana, tas ir bojāto zaru izgriešana un sadedzināšana.

Kauleņkoku pelēkā puve Monilinia laxa

Kauleņkoku pelēkā puve (ķiršu mēris) reģionā iepriekšējā gada vasarā netika novērota, jo slimības attīstībai bija nepiemēroti laika apstākļi. Slimības attīstībai nepieciešamas zemas gaisa temperatūras līdz +15° un ilgstoši mitrs laiks, īpaši maija pirmajā pusē. Dārzos, kur netiek izgriezti inficētie zari un lapas, slimība var radīt zaudējumus. Slimība var inficēt arī plūmes.

Kauleņkoku sausplankumainība Wilsonomyces carpophilus

Kauleņkoku sausplankumainība (cauršautās lapas) sastopama bieži gan plūmju, gan ķiršu dārzos. Parasti neietekmē ražu un koku attīstību, bet ilgstoši nekoptos stādījumos var ietekmēt gan ražību, gan koku ziemcietību. Infekcijas attīstību veicina ilgstošs mitrums un mehāniski bojājumi. Slimība pārziemo dzinumos un pumpuros, brūču sasveķojumos, tādēļ nepieciešams bojātās daļas izgriezt laicīgi, jo lapu veidošanās laikā attīstās jauna infekcija. Aizvadītajā sezonā reģionā slimība novērota gan uz ķiršiem, gan plūmēm. Ķiršos ar nelielu izplatību, bet plūmju dārzos novērota jau maija beigās (AS 73), sezonas laikā slimības intensitāte pieauga. Vasaras sākumā, ieraugot bojātus jaunos dzinumus, tie būtu jāiznīcina, lai nenotiktu slimības tālāka attīstība. Ja sezonā gaiss ilgstoši būs mitrs un silts, slimība var būt postošāka.

Plūmju rūsa Tranzshelia pruni-spinosa

Plūmju rūsa novērota reti, aizvadītajā gadā reģionā netika novērota. Parasti slimības pazīmes parādās vasaras otrajā pusē lapu apakšpusē vai virspusē brūnu pustulu veidā. Lielākā daļa ierosinātāju saglabājas uz vecajām, nobirušajām lapām. Infekcijai labvēlīgs ir vējains un mitrs laiks. Stādījumi, kuriem blakus aug dzeltenie vizbuļi, ir vairāk pakļauti infekcijas riskam. Arī koki, kuriem iepriekšējā gada inficētās lapas netika izvāktas, var saslimt ar plūmju rūsu.

Ķiršu - Madaru laputs Myzus cerasi

Laputis Aphididae

Kaitēklis ķiršu stādījumos sastopams katru gadu. Silts, sauss laiks sekmē laputu masveida savairošanos. Laputis biežāk var novērot uz saldajiem ķiršiem, kur stādījumos mīt skudras. Laputīm sūcot augu sulu, apstājas jauno dzinumu un lapu augšana, tāpēc jāseko kaitēkļa attīstībai jaunos stādījumos. Arī plūmju stādījumos uz jaunajiem dzinumiem nereti vērojamas laputu kolonijas, kas bojā jaunos dzinumus, lapas, kas ietekmē nākamo gadu iespējamo ražu. Aizvadītajā gadā reģionā laputis plūmju dārzos novērotas maija vidū ziedēšanas beigu fāzē (AS 69). Uz atsevišķām plūmēm novērojama stipra laputu invāzija. Tāpat kā uz ābelēm un bumbierēm mītošās laputu olas, arī ķiršu-madaru laputu olas šķiļas pumpuru plaukšanas laikā. Septembra beigās uz viengadīgiem zariem tiek dētas ziemojošās olas. Arī šajā sezonā laputis būs sastopamas tāpat kā katru gadu, jo tām ir strauja attīstība un vairākas paaudzes gada laikā.

Laputis plūmes lapas apakšpus
Foto. Laputis plūmes lapas apakšpusē. Māra Bērziņa.

Eiropas ķiršu muša (ķiršu raibspārnmuša) Rhagoletis cerasi

Šis kaitēklis aizvadītajā gadā netika novērots reģionā, jo apsekojamajos ķiršu dārzos pavasara salnas jau otro gadu nosaldēja ziedus un līdz ar to ķiršu augļus nevarējām sagaidīt. Tomēr, ieviešoties stādījumā, kaitēklis var būtiski samazināt ražu. Kaitīgā stadija ir kāpurs, kas barojas augļa iekšpusē, pēc augļa nokrišanas iekūņojas augsnē un pārziemo. Stādījumos, kur notiek regulāra augsnes irdināšana, ķiršu mušu izplatība var būt mazāka. Arī augsnes mehāniskās īpašības ietekmē ķiršu mušas iekūņošanos un izlidošanu.

Plūmju augļu tinējs Cydia funebrana

Parasti tinēja tauriņu izlidošana sākas maija beigās, iestājoties siltiem un mierīgiem laika apstākļiem. Šajā laikā to notveršanai izliek feromonu slazdus. Vislielākā lidošanas aktivitāte ir apmēram 2 nedēļas pēc plūmju ziedēšanas. Aizvadītajā sezonā feromonu slazdā pirmie tauriņi novēroti maija vidū (AS 69), maksimālais tautiņu skaits nedēļas laikā feromonu slazdā novērots jūnija otrajā pusē (AS 79), kad uzskaitīti 28 tinēju tauriņi. Tauriņi slazdā uzskaitīti līdz pat augļu lietošanas gatavībai (AS 89) augusta otrajā pusē. Plūmju ziedēšanas laikā maijā pārziemojošie kāpuri iekūņojas, pēc izšķilšanās kāpuri iegraužas augļos un tos bojā. Uz augļiem parādās sveķi. Atsevišķos stādījumos kāpuru bojājumi ar nelielu izplatību novērojami arī augļu nobriešanas laikā. Plūmju tinēja kāpuru bojātie augļi regulāri jāsavāc un jāiznīcina, lai ierobežotu kaitēkļa izplatību. Stādījumos, kur tiek rušinātas rindstarpas, samazinās kaitēkļa izplatība, jo rušināšana traucē to ziemošanu. Kaitēkļa mazināšanai var izmantot arī ķeramjostas, kuras ap koku stumbriem apliek jūnija beigās, rudenī noņem un sadedzina. Kaitēkļu samazināšanos veicina arī dabisko ienaidnieku (putni, plēsīgās blaktis) pievilināšana stādījumam.

Gaišā plūmju zāģlapsene Hoplocampa flava        Tumšā plūmju zāģlapsene Hoplocampa minuta

Zāģlapsenes stādījumos sastopamas katru gadu, bet izplatību un bojājumu pakāpi nosaka ziedēšanas intensitāte. Jo bagātīgākā ziedēšana un labvēlīgāki laika apstākļi, jo lielāka kaitēkļa izplatība. Kaitēkļa konstatēšanai stādījumā pirms ziedēšanas izvieto baltos līmes vairogus. Aizvadītajā gadā uz baltajiem līmes vairogiem pirmās zāģlapsenes konstatētas maija beigās, bet maksimums 6 pieauguši īpatņi novēroti jūnija otrajā pusē. Jūlija vidū augļu briešanas laikā (AS 75) novēroti pirmie zāģlapseņu kāpuru bojāti augļi, bojāto augļu skaits apsekotajos stādījumos neliels. Kaitēkļa kāpuri izgrauž plūmju kauliņus, tad barojas arī ar mīkstumu. Plūmes nesveķojas, bet uz tām redzami apaļi caurumi. Liela loma kāpuru izdzīvošanā ir augsnes mitrumam, sausā laikā samazinās izdzīvojušo kāpuru skaits. Daļa kāpuru var iet bojā pavasara salnās, kad temperatūra nokrītas zem -4°. Arī apdobju rušināšana pēc ražas novākšanas rudenī vai pavasarī mazina kaitēkļa izplatību dārzā.

Aveņu, zemeņu slimības un kaitēkļi

Aveņu iedegas Elsinoe veneta

Aveņu iedegas bojā augu dzinumus un lapas. Infekcijas ierosinātāju sporu izlidošana notiek lapu plaukšanas (AS 9-12) laikā maija beigās un jūnija sākumā. Vispirms slimība skar jaunos dzinumus. Slimības izplatību veicina sabiezināti stādījumi, siltums, mitrums un vējš, to var pārnēsāt arī kukaiņi. Iedegu inficēti dzinumi ir savlaicīgi izgriežami un sadedzināmi. Aizvadītajā gadā aveņu stādījumos iedegas novērotas maija vidū. Pavasara salnas ietekmēja augu augšanu, tos novājinot un slimību izplatība stādījumos pērn bija lielāka kā iepriekšējos gados. Slimība saglabājas dzinumos, tādēļ rūpīgi jāizvērtē stādāmā materiāla kvalitāte. Svarīgi stādīt pret slimību izturīgas šķirnes. Pavasarī jāapseko stādījumi, bojātie dzinumi izgriežami, arī pēc ražas novākšanas izgriežami noražojušie dzinumus, ieteicams mulčēt apdobes.

Pelēkā puve Botrytis cinerea

Slimība ir ekonomiski nozīmīga. Pārsvarā bojā ogas, bet var izplatīties arī uz pumpuriem, ziedkopām, lapām, dzinumiem. Aizvadītajā gadā netika novērota aveņu stādījumos, jo laika apstākļi nebija piemēroti slimības attīstībai, bet zemeņu stādījumā novērota nelielā daudzumā pēc galvenās ražas novākšanas. Pelēkā puve var izraisīt lielus ražas zudumus, visas sezonas garumā nepieciešams izvākt infekcijas perēkļus stādījumā. Ražas vākšanas laikā bojātās ogas atstājot stādījumā, tās rada pelēkās puves perēkļus, kuri turpina inficēt veselās ogas. Ja nākamajā sezonā aveņu, zemeņu ziedēšanas un ogu nogatavošanās laikā būs ilgstošs lietus periods, pelēkā puve noteikti parādīsies stādījumos un bojās ogas. Ja no stādījuma netiek izvāktas augu atliekas, nezāles, pastāv lielāka iespēja augiem inficēties ar pelēko puvi. Arī mulčējamais materiāls var saturēt pelēkās puves infekcijas avotus.

Avenāju dzinumu mizas plausāšana Didymella applonata

Avenāju dzinumu mizas plaisāšana sastopama gandrīz visos stādījumos. Novērojumos slimības izplatība nepārsniedza 4%. Jaunie dzinumi inficējas pavasarī, arī otrajā gadā ražojošie dzinumi plaisā. Ja ir silts pavasaris, slimības izplatība ir lielāka. Slimības ierosinātāji saglabājas uz inficētiem dzinumiem un augu lapās. Bojāto dzinumu izgriešanai, stādījuma retināšanai ir nozīme slimības izplatības ierobežošanā. Plašāk izplatīta vasaras aveņu stādījumos, ja tajos ir daudz nezāļu, paaugstināts slāpekļa mēslojums un laika apstākļi ir lietaini. Ierīkojot stādījumus jāizvēlas audzēt slimības izturīgas šķirnes.

Zemeņu lapu baltplankumainība Mycosphaerella fragariae

Slimība ir izplatīta visā Latvijas teritorijā. Jo nokrišņiem bagātāka vasara, jo vairāk slimība būs novērojama zemeņu stādījumos. Slimības pazīmes novērojamas uz lapām periodā pēc ražas novākšanas. Parasti tā nav postīga, biežāk vērojama uz vecākiem augiem sabiezinātos, nekoptos, nezāļainos stādījumos. Vesels stādāmais materiāls, stādījumu atjaunošana, izturīgu šķirņu izvēle, inficēto lapu izvākšana no stādījuma rudenī mazina slimības izplatību.

 Zemeņu lapu baltplankumainība
Foto. Zemeņu lapu baltplankumainība. Māra Bērziņa.

Zemeņu lapu brūnplankumainība Diplocarpon earliana

Arī brūnplankumainība ir izplatīta visā Latvijas teritorijā. Izplatību veicina silta gaisa temperatūra +15-25° un paaugstināts gaisa mitrums. Pirmie plankumi uz lapām novēroti maija beigās pilnzieda laikā (AS 65). Slimības izplatība bija līdz 4% robežās, novērota visu sezonas laiku. Slimība vairāk sastopama vecākos stādījumos, kas ilgstoši nav atjaunoti, arī stādījumos, no kuriem rudenī nav izvāktas augu atliekas. Nezāļu ierobežošana palīdz pasargāt stādījumu no straujas infekcijas attīstības.

Aveņu ziedu smecernieks Anthonomus rubi

Kaitēklis bojā zemeņu un aveņu ziedus. Vaboles iedēj olas ziedpumpuru aizmetņos vēl pirms augu ziedēšanas (AS 51-57) un aizgrauž ziedpumpura kātiņu. Kāpuri turpina attīstību nokritušajos ziedpumpuros. Pavasarī kaitēklis sāk attīstību sausā un saulainā laikā, kad augsnes temperatūra sasniedz +10-14° un vaboles iznāk no ziemošanas vietām zemsedzē un augsnes virskārtā. Pumpurus sāk bojāt, gaisam iesilstot līdz +18°. Novērojumos aveņu ziedu smecernieks aizvadītajā sezonā konstatēts gan aveņu, gan zemeņu stādījumos, bet ar nelielu izplatības pakāpi. Jāsaka gan, ka daļā reģiona pavasara salnas ļoti ietekmēja zemeņu stādījumus, nosaldējot daļu ziedu, līdz ar to ogu raža bija tikai vēlākām šķirnēm. Kaitēkļu samazināšanai nelielās platībās bojātos ziedpumpurus var nolasīt un iznīcināt. Augsnes irdināšana rudenī un pavasarī, augsnes mulčēšana stādījumā, nezāļu ierobežošana, un dzelteno līmes vairogu izmantošana pieaugušo vaboļu izķeršanai ir metodes kaitēkļa izplatības mazināšanai stādījumos.

Avenāju vabole Byturus tomentosus

Reģionā kaitēklis monitoringa laukos parādījās pašās maija beigās ar nelielu izplatību. Vaboles olas dēj ziedos maijā un jūnijā. Kāpuri barojas uz ogu ziedgultnes. Ogu nogatavošanās laikā kāpuri iekūņojas augsnē, no kuriem attīstās vabole un ziemo augsnē līdz 25 cm dziļumam. Avenāju vaboles kāpurus var novērot ogās jūlija otrajā pusē. Kāpuru bojātās ogas biežāk inficējas ar pelēko puvi. Uz vasaras avenēm kaitēklis novērojams katru gadu, arī šis gads noteikti nebūs izņēmums. Silti laika apstākļi veicina kaitēkļa savairošanos. Nedaudz mazāk skar stādījumus, kur pavasarī un rudenī notiek rindstarpu irdināšana un balto līmes vairogu lietošana.

Zemeņu ērce Phytonemus pallidus

Zemeņu ērces bojā jaunās plaukstošās lapiņas, izsūcot šūnsulu no lapām un ogu aizmetņiem. Tās var parādīties arī vēlākās zemeņu attīstības stadijās. Kaitēkļa aktivitāte atkarīga no laika apstākļiem. Gaisa temperatūrā zemākā par +16°, to aktivitāte samazinās, arī lielā karstumā kaitēkļi neattīstās. Stipri invadētiem augiem samazinās salcietība un nākamā gada raža. Reģionā apsekotajos stādījumos zemeņu ērces bojāti augi konstatēti ar nelielu izplatību. Kaitēkļa bojātie ceri biežāk novērojami sabiezinātos un nezāļainos stādījumos, vietās, kur zemenes audzētas ilgākus gadus. Lai izvairītos no zemeņu ērces, saimniecībā jāievēro augu maiņa, regulāri jāatjauno stādījumi. Atšķirīga ir arī šķirņu izturība pret šo kaitēkli. Zemeņu ērci ierobežot ir grūti, tāpēc svarīgi ierīkojot jaunu stādījumu izmantot veselus un neinficētus stādus.

Lauka maijvabole Melolontha melolontha

Viena paaudze attīstās ik pēc 4-5 gadiem. Aizvadītā gada klimatiskie apstākļi bija piemēroti vaboļu attīstībai, maijvaboles no maija līdz jūlija vidum veica uzlidojumus dažādiem kultūraugiem, bet kaitēkļa izplatība novērota atsevišķos laukos. Kaitīgā stadija ir gan kāpuri, kuri grauž augu saknes, gan vaboles, kuras barojas ar augu lapām. Ja maijvaboļu kāpuri augsnē savairojušies, nav ieteicams stādīt zemenes, jo tām tiks sagrauztas saknes un stādījums aizies bojā. Uz avenēm reģionā nebija novērojamas īpaši daudz maijvaboles, bet iepriekšējo gadu kāpuri turpinās grauzt augu saknes. Nākamajā gadā var prognozēt mazāku pieaugušo maijvaboļu uzlidošanu. Nepieciešams pievērst uzmanību kultūraugu stādījumiem, augsni rušināt, laukus atstāt papuvē, lai samazinātu kāpuru īpatsvaru.

Dārza vabole Phyllopertha horticola

Dārza vabole pamanāma gan augļu dārzos, gan ogulāju stādījumos. Kaitēkļu nodarītie postījumi ir nelieli. Parasti vaboles izlido maija beigās, jūnija sākumā un barojas uz aveņu lapām, bet vēlāk kāpuri ielien augsnē un var bojāt augu saknes. Iepriekšējās sezonās aveņu stādījumā uz augu lapām barojās pavisam neliels skaits vaboļu. Kāpuri un vaboles bieži barojas arī uz zālaugiem. Vabolēm ir dabiskie ienaidnieki, kas regulē to skaitu.

Ogulāju slimības un kaitēkļi

Ogu krūmu kausiņrūsa Puccinia ribesii-caricis

Aizvadītajā sezonā slimība novērota stādījumos jūnija vidū ogu attīstības laikā (AS 71-75), bet ar nelielu izplatību. Slimības pazīmes novērotas ar pieaugošu izplatību uz ogulāju lapām. Pavasarī un vasaras sākumā uz augu lapām var pamanīt palielus dzeltenīgi oranžus plankumus. Uz tiem, lapu apakšpusē, veidojas dzeltenas un oranžas pustulas. Stipras infekcijas rezultātā ogulāju lapas var dzeltēt, ziedi un ogas nobirt. Slimības attīstību veicina silts un mitrs laiks, vējš un tuvumā esošas grīšļu audzes. Slimības ierobežošanā nozīme ir šķirņu izvēlei un stādījumu ierīkosanas vietai.

Ogulāju kausiņrūsa
Foto. Ogulāju kausiņrūsa. Māra Bērziņa.

Ogulāju lapu sīkplankumainība Mycosphaerella ribis

Šī slimība ir bieži sastopama ogulāju stādījumos, reģionā novērota jau jūnija sākumā ar nelielu izplatību, bet sezonas laikā izplatība pieauga līdz 20%. Vasaras laikā plankumi uz lapām palielinās, saplūst un var inficēties arī dzinumi un ogas. Slimības izplatībai un attīstībai nepieciešams mitrs, silts laiks un sabiezināti stādījumi, tādēļ šogad, ja pavasaris būs silts un mitrs, slimība var pastiprināti izplatīties un samazināt ražas. Slimības ierobežošanai ieteicams stādīt izturīgas šķirnes, rudenī nobirušās lapas savākt, iestrādāt augsnē vai apstrādāt ar vielām, kas veicina ātrāku to sadalīšanos.

Upeņu virālā pildziedainība Blackcurrant reversion virus

Slimību ierosina vīruss. Slimība parādās uz atsevišķiem zariem, tad var pārņemt visu augu. Inficēto krūmu ziedi plaukst nedēļu vēlāk. Ziedēšanas laikā var novērot, ka ziedi neveidojas vispār vai tie ir tumši iekrāsoti, pildīti – ziedlapu un kauslapu vietā ir violetas nokrāsas bārkstis. Ar laiku visi krūma ziedi kļūst neauglīgi. Ražas zudumi stipras infekcijas rezultātā ir 100%. Slimo krūmu dzinumi rudenī nenobriest un ziemā apsalst. Vīrusu pārnēsā pumpuru ērces un citi sūcējtipa kaitēkļi. Inficētie augi nekavējoties jāizvāc no stādījuma un jāsadedzina, jo slimības ierobežošanai nav reģistrēti nekādi augu aizsardzības līdzekļi. Reģionā pērnajā gadā slimība netika novērota, jo pavasara sala naktis pilnībā nosaldēja ne tikai upeņu ziedus, bet apsala arī augu lapas. Reģionā jau otro gadu upeņu raža cieta pavasara salnās. Piemājas dārzos slimība var izplatīties, ja stādījumos savairojas pumpuru ērces. Slimības ierobežošanā nozīme ir veselīga stādāmā materiāla izvēlei un kaitēkļu apkarošanai stādījumā.

Upeņu pumpuru ērce Eriophyes ribis

Ļoti nozīmīgs kaitēklis upeņu stādījumos, reti, bet var bojāt arī jāņogas. Pumpuriem plaukstot, bojātie pumpuri stipri uzbriest un neizplaukst, vēlāk nobrūnē un nobirst. Vienā pumpurā var dzīvot vairāki tūkstoši ērču. Gadā var attīstīties 4-5 paaudzes, ērču vairošanās notiek līdz pat oktobrim. Šis kaitēklis pērn novērots stādījumos lapu pumpuru briešanas laikā (AS 01-03) aprīļa vidū, tam parasti seko kaitēkļu pārnēsātā slimība - upeņu virālā pildziedainība. Ērču ierobežošanai agri pavasarī nolasa visus invadētos pumpurus. Ja stipri invadēts viss krūms, tas ir jāizrok un jāsadedzina. Stādot jaunus stādījumus, jāizvēlas šķirnes, kas ir izturīgākas pret pumpuru ērces bojājumiem.

Jāņogulāju stiklspārnis Synanthedon tipuliformis

Upeņu stādījumos jūnija vidū novērojams jāņogulāju stiklspārnis. Pavasarī kaitēkļa kāpuri grauž krūmu zaru serdes pie krūmu pamata, kur jūnijā iekūņojas. Vēlāk bojāto zaru lapas novīst un zari nokalst. Jaunie tauriņi izlido jūnija beigās un dēj olas pie ogulāju pumpuriem. Izšķīlušies kāpuri atkal iegraužas zarus serdes daļā. Kaitēkļa aktivitāte palielinās sausā un siltā laikā, arī stādījumos, kuri netiek kopti un izgriezti vecie, nokaltušie zari. Pieaugušiem īpatņiem izliek feromonu slazdus, kuros veic to uzskaiti. Pagājušajā sezonā jūnija vidū kaitēkļi lidoja, bet to skaits neliels, sasniedzot 5 stiklspārņus vienā slazdā. Kaitēkļa aktivitāte palielinās sausā un siltā laikā, arī stādījumos, kuri netiek kopti. Bojātie zari vizuāli pamanāmi ogulāju plaukšanas laikā. Bojātie dzinumi ir izgriežami ar visu kāpuru, zari jāsadedzina. Vairāk apdraudēti ir jaunāki stādījumi, kāpuriem patīk ogu krūmu mehāniski bojājumi.

Informāciju sagatavoja:

Valda Meijere

Vecākā inspektore
-
VAAD Latgales reģionālā nodaļa
E-pasts: valda.meijere [at] vaad.gov.lv

Saistītas tēmas

Aktualitātes:
Augļaugi Prognoze